[
回首頁
] [
搜尋
] [
檔案區
] [
相簿
] [
趨勢
] [
管理區
] [
重新整理
]
預設
夜間
綜合避難所
[
回到版面
][
重新快取
]
檔名:
1758490858656.jpg
-(199 KB, 472x776)
無題
無名
2025/09/22(一) 05:40:58.701 ID:ITcJry4s
No.28799195
del
住南蠻
跟著魔一樣沒半小時就打開人事行政網看有沒有颱風假
類別:
颱風
回應:
在新分頁回應
無題
無名
2025/09/22(一) 01:50:48.798 ID:ScTL.iIk
No.28798979
del
>>28798857
公司新薪制
颱風、連假也開始支薪
當然要放越多越好
島民我也沒丸股票
>>28798968
雙北不好種 日照問題
類別:
颱風
,
股票
回應:
在新分頁回應
無題
無名
2025/09/22(一) 01:46:24.289 ID:amT7Mr4Y
No.28798959
del
我猜綜合現在只有我怨恨颱風吧
蔥價好不容易開始跌了
這下又要一斤300
這樣我什麼時候才能做新的料理
雞掰
類別:
颱風
回應:
在新分頁回應
檔名:
1758475721782.jpg
-(105 KB, 801x529)
無題
無名
2025/09/22(一) 01:28:41.832 ID:Vdf8Zl0.
No.28798897
del
>>28798857
幹你娘
已經有連假了
拜託不要再放颱風假了
我還想炒股啊...
類別:
颱風
回應:
在新分頁回應
檔名:
1758470743602.png
-(2307 KB, 1024x1536)
嗚..好想睡醒變成尤埃爾喔..
無名
2025/09/22(一) 00:05:43.653 ID:hifUzLCI
No.28798560
del
又有颱風要來了
對台灣影響就是不會放假卻有很大雨勢那種吧
好想睡醒變成尤埃爾喔..
這樣就不用下雨天還要出門上班了(哎?)
類別:
颱風
,
台灣
回應:
在新分頁回應
檔名:
1758466091450.jpg
-(27 KB, 608x340)
無題
無名
2025/09/21(日) 22:48:11.496 ID:6th/BDL2
No.28798087
del
每次颱風還沒來菜價就先漲 可見這些蔬菜是未來的蔬菜
這是物理界重大發現吧
類別:
颱風
回應:
在新分頁回應
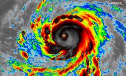
檔名:
1758464691105.jpg
-(668 KB, 1683x1016)
無題
無名
2025/09/21(日) 22:24:51.154 ID:R4sdh8XQ
No.28797894
del
樺加沙颱風眼清晰可見
核心深層對流深厚
眼牆對稱完整
環流非常紮實、完美
即將達到最顛峰狀態!
類別:
颱風
回應:
在新分頁回應
檔名:
1758460881249.jpg
-(75 KB, 382x564)
無題
無名
2025/09/21(日) 21:21:21.298 ID:7DYSGGGY
No.28797313
del
平常沒G的地方都出現了
跟颱風有關嗎
類別:
颱風
回應:
在新分頁回應
無題
無名
2025/09/21(日) 21:08:47.695 ID:zDyyq6SQ
No.28797191
del
>>28796996
之前香港有一星期連下了幾天大豪雨
然後在星期四政府宣佈「超前部署」 星期五因大雨全港學校停課
結果星期五出大太陽 被笑到現在
暫時香港政府還是怕被罵 颱風假應該隨便放
類別:
颱風
,
政治
,
香港
回應:
在新分頁回應
無題
無名
2025/09/21(日) 20:54:09.987 ID:8SNWwk.o
No.28797060
del
>>No.28796996
香港規定是下班時上颱風警報
明天上班時間前收下警報
類別:
颱風
,
香港
回應:
在新分頁回應
無題
無名
2025/09/21(日) 20:47:07.917 ID:3JkaVyw.
No.28796996
del
有港仔嗎
你們會放颱風假嗎
類別:
颱風
回應:
在新分頁回應
檔名:
1758457868417.jpg
-(1568 KB, 1280x1808)
無題
無名
2025/09/21(日) 20:31:08.470 ID:Qy8rcjK.
No.28796838
del
颱風天就是要看可愛的女孩子啊
類別:
颱風
回應:
在新分頁回應
檔名:
1758457129276.png
-(35 KB, 182x176)
無題
無名
2025/09/21(日) 20:18:49.326 ID:XMvnj.PM
No.28796737
del
颱風 放假!!!!!!!!!!!!!!!!!!!!!!!
類別:
颱風
回應:
在新分頁回應
檔名:
1758457025179.jpg
-(18 KB, 126x400)
無題
無名
2025/09/21(日) 20:17:05.230 ID:rplQpJ32
No.28796723
del
外面的天氣好像變了 颱風好像很強
類別:
颱風
回應:
在新分頁回應
無題
無名
2025/09/21(日) 20:06:24.550 ID:fmoA9X9c
No.28796619
del
>>28796606
是颱風系島民
類別:
颱風
回應:
在新分頁回應
[
1
] [
2
] [
3
] [
4
] [
5
] [
6
] [
7
] [
8
] [
9
] [
10
] [
11
] [
12
] [
13
] [
14
] [
15
] [
16
] [
17
] [
18
] [
19
] [
20
] [
21
] [
22
] [
23
] [
24
] [
25
] [
26
]